- Balçova’da Cumhuriyetimizin 102. yılı etkinlikleri bugün sabah saatlerinde başladı
- “Cumhuriyet, bir ülkenin küllerinden yeniden doğuşunda, karanlığa meydan okuyuşundadır”
- İzmir’de Cumhuriyet Bayramı kutlamaları başladı
- Yarım günlük seans pozitif kapandı
- Özgür Özel kayyum tartışmalarına son noktayı koydu
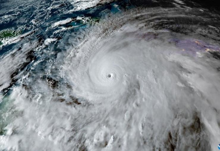
174 yılın en büyük fırtınası ülkeyi vurdu: Şehirler boşaltıldı
Jamaika, 174 yılın en güçlü kasırgası Melissa’nın etkisi altında. Saatte 280 kilometreye ulaşan rüzgarlar adayı vururken hükümet tahliye emri verdi. Ancak yağmacılardan kokran halk herşeye rağmen evlerini terk etmeyi reddediyor, yetkililer ise “ölümcül sel ve toprak kayması” uyarısı yapıyor.
Jamaika, 2025'in en geçlü fırtınasını göğüslüyor. Şimdiden 3 kişinin hayatını alan korkunç fırtına sebebiyle civar ülkelerde insanlar sığınaklara kaçtı, şehir ve kentlerde evler yıkıldı.
En ağır darbeyi alan Jamaika'ada “Yıkıcı ve ölümcül” koşulların başladığı uyarısı yapıldı. Saatte 282 kilometreye ulaşan rüzgar hızına sahip Kasırga Melissa beşinci kategoriye ulaştı.
Salı sabahı adaya vuran kasırga, Haiti ve Dominik Cumhuriyeti’nde de en az dört can aldı. Küba'da ise şehirler boşaltıldı.
174 SONRA EN BÜYÜK FIRTINA
Ulusal Kasırga Merkezi verilerine göre Melissa yılın en güçlü fırtınası olarak kayıtlara geçti. CBS’in bildirdiğine göre mevcut gücüyle Jamaika’nın 1851’den bu yana gördüğü en sert kasırga olacak.
Melissa’nın rüzgar hızı saatte 280 kilometreye ulaştı. Fırtınanın merkezindeki “göz duvarı” olarak bilinen bölgede yapısal hasarın kaçınılmaz olduğunu bildirdi.
Kurum direktörü Michael Brennan “Salı gününe kadar ölümcül ani sel ve çok sayıda toprak kayması bekleniyor dışarı çıkmayın” dedi.
Jamaika hükümeti başkent Kingston kentinin bazı bölgeleri için tahliye emri verdi. Eğitim Bakanı Dana Morris Dixon “Ekim boyunca zaten yağmur aldık toprak doymuş durumda şimdi bu kadar yağış felaket getirecek” dedi.
ABD Ulusal Okyanus ve Atmosfer Dairesi’ne ait bir keşif uçağı şiddetli türbülans nedeniyle görevini yarıda bıraktı.
İNSANLAR EVLERİNİ TERK ETMİYOR
Bakan 881 barınağın tamamının açıldığını ve ücretsiz olduğunu açıkladı. Ancak Jamaika halkı, fırtınıya rağmen evlerini terk etmiyor. Halk, evlerinin yağmalanmasından endişe ediyor.
Ancak bölgede yollar şimdiden kapandı. Acil bir durumda helikopterlerin ise rüzgardan dolayı insanlara ulaşması mümkün değil.
Başbakan Andrew Holness “Her Jamaikalı hazırlıklı olmalı evde kalmalı ve tahliye emirlerine uymalı” çağrısı yaptı. Holness “Bu fırtınayı atlatacağız ve evlerimizi daha güçlü şekilde, yeniden inşa edeceğiz” dedi.
sözcü
Yorum Ekle
Diğer Haberler
Golf sopası, kiraz ağacı... Japonya'nın Trump'a hediyelerinin şifresi
Japonya Başbakanı Sanae Takaichi, ABD Başkanı Donald Trump’a 250 kiraz ağacı ve suikast sonucu öldürülen Shinzo Abe’nin golf sopasını hediye etti. Takaichi, hediyelerin ABD’nin 250. kurul...
Beyaz Saray açıkladı: Japonya, Trump’ı Nobel Barış Ödülü’ne aday gösterecek
Beyaz Saray Basın Sözcüsü Karoline Leavitt, Japonya Başbakanı Sanae Takaichi'nin ABD Başkanı Donald Trump'ı Nobel Barış Ödülü'ne aday göstereceğini belirtti. Beyaz Saray Basın Sözcüsü Kar...
Rusya'nın füze testlerine, Trump'tan nükleer denizaltı yanıtı
Donald Trump, Rusya’nın yeni nükleer füze denemesine tepki göstererek Vladimir Putin’e “savaşı bitir” çağrısı yaptı. ABD Başkanı, Rusya kıyılarına konuşlu Amerikan denizaltısını hatırlata...
Dünyanın en yaşlı başkanı bir kez daha seçildi
Orta Afrika ülkesi Kamerun'da yapılan cumhurbaşkanlığı seçimlerini 92 yaşındaki mevcut lider Paul Biya kazandı. Böylece Biya, ülkesini 43 yıldır aralıksız yöneten bir lider olarak tarihe ...
İsrail’den Türkiye açıklaması
İsrail Dışişleri Bakanı Gideon Saar, ABD’nin Gazze’de kurmayı planladığı uluslararası güce Türk askerinin katılmasına karşı çıktı. Saar, “Erdoğan yönetimindeki Türkiye, İsrail’e düşmanca ...
Paşinyan açıkladı: Ermenistan'dan yapıcı adım
Ermenistan'da gelecek yıl yapılması planlanan genel seçimlere de değinen Nikol Paşinyan, "2026 yılı, barış açısından belirleyici bir yıl olacak. Çünkü haziran ayında bir sonraki parlament...
ABD Başkanı Trump Tokyo'da
Tokyo'daki İmparatorluk Sarayı'nı ziyaret eden Trump, kendisini kapıda karşılauan Japonya İmparatoru Naruhito ile el sıkıştı. İmparatoru Naruhito, "Sizi tekrar gördüğüme sevindim" ifadele...
Lübnan-Türkiye arasında “orta hat” krizi: 18 yıl sonra anlaşma onaylandı
Lübnan hükümetinin 18 yıl sonra Güney Kıbrıs Rum Yönetimi ile deniz sınırı anlaşmasını onaylaması, Doğu Akdeniz’de dengeleri değiştiriyor. Beyrut’un “orta hat” ilkesini benimsemesi, Türki...
SOSYAL MEDYA
MAGAZİN
Jennifer Lawrence, meme estetiği yaptıracağını açıkladı
Jennifer Lawrence, ikinci hamileliğin ardından vücudunun değiştiğini belirterek Kasım ayında meme büyütme ameliyatı olmayı planladığını açıkladı. Nisan ayında ikinci çocuğunu dünyaya geti...
TEKNOLOJİ
EDİTÖR'ÜN SEÇTİKLERİ
Kalp 20 dakika durursa beyin ölür mü?
Kalp krizi geçiren ve yoğun bakımda tedavisi süren şarkıcı Fatih Ürek ile gündeme gelen kalp durması süresine göre beyni farklı şekillerde etkileyebilir. Geçtiğimiz günlerde evinde kalp krizi geçiren ve sağlık ekiplerinin 20 dakika süren çabasıyla kalbi yeniden çalıştırılan Fatih Ürek’in yoğun bakımdaki tedavisi devam ediyor…





Yorumlar
Bu haberde yorum bulunmamaktadir.